Terreno en Venta en Grecia
Venta
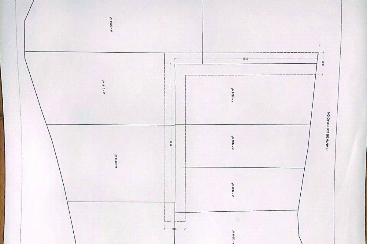
Oportunidad única, hermosa propiedad segregada en 8 lotes, te ofrece la posibilidad de crear un desarrollo excepcional o construir la casa de tus sueños rodeada de amplios jardines y vistas impresionantes. Con una extensión de 20,823 m² (5,14 acres), esta propiedad ofrece un terreno mayormente plano, ideal para diversas opciones de construcción.
La propiedad ya cuenta con planos y escrituras para cada uno de los 8 lotes, brindándote la tranquilidad y seguridad necesarias para embarcarte en tu proyecto. En la actualidad, todo el terreno se presenta como un hermoso jardín con zonas verdes meticulosamente cuidadas, árboles majestuosos y un perímetro en su mayoría cercado con limoncillo, proporcionando privacidad y encanto.
Además, facilitamos tu visión con una cotización detallada para la construcción de infraestructura, que incluye una calle adoquinada, un portón eléctrico y la instalación de tuberías para los servicios públicos. Este enfoque planificado allana el camino para que puedas comenzar tu proyecto con confianza y eficiencia.
Ubicada estratégicamente a solo 10 minutos de supermercados, clínicas, hospital y farmacias, esta propiedad ofrece comodidad y accesibilidad. Su proximidad al centro de la ciudad de Grecia agrega un toque urbano a la serenidad del entorno. Además, el aeropuerto Internacional Juan Santamaría se encuentra a tan solo 35 minutos de distancia, brindándote una conexión rápida con el resto del mundo.
Si buscas opciones de entretenimiento, la propiedad está a una hora y media de las hermosas playas del Pacífico y del majestuoso volcán Arenal, relájate en aguas termales en la Fortuna de San Carlos o disfruta de la pesca de truchas y tilapias a solo 35 minutos. Si prefieres la belleza natural, visita el volcán Poás a 40 minutos o explora las impresionantes cataratas en la zona.
Esta propiedad es más que tierra; es la oportunidad de construir un hogar o un desarrollo que se alinee con tus sueños y aspiraciones. ¡No dejes pasar esta oferta única en una ubicación privilegiada!
No deje pasar esta oportunidad, contáctenos (+506) 2446-1070 US Teléfono: 305-454-1505, será un gusto atenderlo.
-
Unique opportunity! A beautiful property segregated into 8 lots offers you the chance to create an exceptional development or build the house of your dreams surrounded by spacious gardens and stunning views. With an area of 20,823 m² (5.14 acres), this property features mostly flat terrain, ideal for various construction options.
The property already has plans and deeds for each of the 8 lots, providing you with the peace of mind and security needed for your project. Currently, the entire land presents itself as a beautiful garden with meticulously maintained green areas, majestic trees, and a mostly fenced perimeter with lemongrass, providing privacy and charm.
Furthermore, we facilitate your vision with a detailed quote for infrastructure construction, including a cobblestone street, an electric gate, and the installation of pipes for public utilities. This planned approach paves the way for you to start your project with confidence and efficiency.
Strategically located just 10 minutes away from supermarkets, clinics, hospitals, and pharmacies, this property offers convenience and accessibility. Its proximity to the city center of Greece adds an urban touch to the serenity of the surroundings. Additionally, the Juan Santa María International Airport is only 35 minutes away, providing you with a quick connection to the rest of the world.
If you're seeking entertainment options, the property is an hour and a half from the beautiful beaches of the Pacific and the majestic Arenal Volcano. Relax in hot springs in La Fortuna de San Carlos or enjoy trout and tilapia fishing just 35 minutes away. If you prefer natural beauty, visit the Poas Volcano 40 minutes away or explore the stunning waterfalls in the area.
This property is more than land; it is the opportunity to build a home or development that aligns with your dreams and aspirations. Don't miss out on this unique offer in a privileged location!
Don't let this opportunity pass, contact us at (+506) 2446-1070 or US Phone: 305-454-1505. It will be a pleasure to assist you.
Especificaciones
Video
Mapa ubicación
Compartir esta propiedad
Corredor a cargo

- 88100635
- info@costaricaproperties.cr











